Withdrawn

Former Acton Bridge Nursery, Station Road, Acton Bridge, Northwich, Cheshire CW8 3PZ

Withdrawn

  • Bungalow
  • Tenure: Freehold

Call the team on 01772 772450 for more information

Auction Date

Thu 22/06/2023

Auction Time

12:00

Auction Venue

Online Auction

Viewing Times:

Fri 21 Apr

10:00-11:00

Former Nursery With Planning for Detached Dwelling And Plot Of Land To The Rear

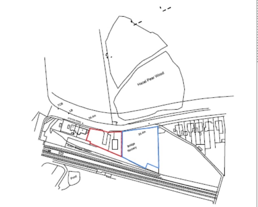
Former Acton Bridge Nursery With Planning For A Single Storey Dwelling Plot of land extending to approximately 1.08 Acre/.044 Hectacre. In March this year full planning permission was granted for the existing building on site to be converted in to a single storey residential dwelling. Planning Ref-22/00747/FUL The Planning will split the site with the front being used for the dwelling and rear of the site to remain unused. We are informed that the front of the plot where the planning has been granted is brown belt. The site benefits from two entrances and connected utilities. The site is located is the highly desirable village of Acton Bridge. Approximately 6 miles from M56, and 15 miles from Manchester airport, and walking distance to Acton Bridge Rail Station. This picturesque village benefits from two public houses/restaurants and is a short drive to some fantastic shops in the nearby Weaverham village. Tenure: FREEHOLD Title number: CH684576 Council Tax Band : N/A Finance is available on this lot. For a decision-in-principle visit togethermoney.com/amydip/ ANTI-MONEY LAUNDERING REGULATIONS In accordance with Anti-Money Laundering Regulations, two forms of identification and confirmation of the source of funding will be required from the successful purchaser. Every effort has been made to confirm the accuracy of the lot details including any defect in the title both with the vendor and their solicitor. Auction House will not be held responsible for any failure to disclose any such defects. Any purchasers choosing to buy without viewing in person are doing so at their own risk and acknowledge that the auctioneer will not be held responsible for any issues that may arise due to them being unintentionally missed from the video or sales particulars. Please refer to legal pack for additional fees and the Auction Information document for guidance prior to bidding.

Tenure

Freehold

Local Authority

Cheshire West and Chester Council

Solicitors

Conveyancing Expert, Ref: Conveyancing Expert, Tel: 0161 794 7799

Important Notice to Prospective Buyers:

We draw your attention to the Special Conditions of Sale within the Legal Pack, referring to other charges in addition to the purchase price which may become payable. Such costs may include Search Fees, reimbursement of Sellers costs and Legal Fees, and Transfer Fees amongst others.

Additional Fees

Administration Charge - 1.8% inc VAT of the purchase price, subject to a minimum of £1800 inc VAT, payable on exchange of contracts.

Disbursements - Please see the legal pack for any disbursements listed that may become payable by the purchaser on completion.

View Larger Map

Disclaimer: The map preview provided above is for general guidance only and may not accurately reflect the exact location or surrounding buildings. Prospective buyers and interested parties are strongly advised to independently verify the precise location and surroundings before bidding.