For Sale By Auction | 12:00, 17 June 2026

Capel Seion, Porthmadog, Gwynedd LL49 9HT

*Guide | £150,000 (plus fees)

  • Residential Development
  • Tenure: Freehold

Call the team on 01772 772450 for more information

Auction Date

Wed 17/06/2026

Auction Time

12:00

Auction Venue

Online Auction

Development Opportunity with Planning Permission

Tenure

Freehold

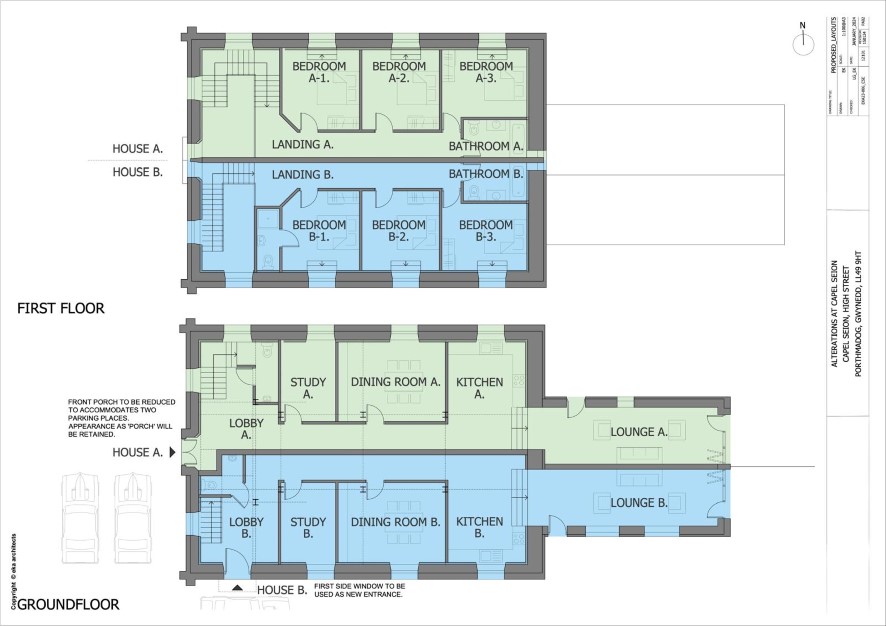
Located within the well-regarded coastal town of Porthmadog, Capel Seion offers a compelling opportunity to acquire a part-progressed development project in an area known for both its lifestyle appeal and established tourism market. The property comprises a former chapel with planning permission granted for conversion into a pair of semi-detached homes and the previous planning for 2 flats/ apartments is also still in place and valid. The current owners, who have delivered a number of successful projects locally, have already undertaken the more intensive early works, including perimeter excavations and a comprehensive internal strip-out. This places the site in a strong position for a purchaser to move forward with the build programme which the owners, due to personal circumstances reluctantly cannot complete.

The approved scheme provides for two well-proportioned dwellings, each arranged to include a living room, dining room, kitchen, large garden breakfast room/study, WC/cloakroom, three bedrooms with the potential for mezzanines to all rooms, en-suite to primary and a family bathroom. The opportunity is likely to appeal to a broad and diverse range of purchasers. From an investment perspective, Porthmadog continues to benefit from a steady and well-established flow of visitors throughout the year, underpinned by its proximity to Snowdonia National Park and well-known attractions such as the Ffestiniog & Welsh Highland Railway and many local beaches and coastline walks. This consistent level of tourism supports demand for short-term accommodation, positioning the scheme as a credible option for those considering holiday-let or mixed-use investment.

Equally, the proposed homes are well suited to the private residential market. The scale and setting of the development are likely to attract buyers seeking a more permanent relocation, as well as those looking for a secondary base in a well-connected coastal location. The accessibility of local amenities, combined with the relatively level walking routes into the town centre, also lends itself to later-life living, offering convenience without compromising on environment or outlook.

The site itself occupies a practical and well-situated position within the town, providing close proximity to everyday shops, services, and public transport connections. Its location also allows for straightforward access to the wider North Wales coastline and surrounding countryside, making it a suitable base for both day-to-day living and wider regional connectivity. Overall, the combination of location, accessibility, and market flexibility should ensure the scheme appeals across both investment and owner-occupier sectors, without being reliant on any single source of demand.

Planning documentation is available via Gwynedd Council under references C24/0253/44/AC (Main) & C12/1007/44/LL. Tenure: Freehold Title number: CYM316081 Local Authority: Gwynedd Finance is available on this lot. For a decision-in-principle visit togethermoney.com/amydip/

IMPORTANT INFORMATION

Buying at auction is a contractual commitment, you are legally obliged to buy the lot on the terms of the sale memorandum at the price you bid. If you are the successful bidder, you are required to pay the deposit and auction fees immediately. As agent for the seller, we treat any failure to satisfy your obligations as your repudiation of the contract and the seller may then have a claim against you for breach of contract. You must not bid unless you wish to be bound by the common conditions of auction.

ANTI-MONEY LAUNDERING REGULATIONS

In accordance with Anti-Money Laundering Regulations, two forms of identification and confirmation of the source of funding will be required from the successful purchaser. Every effort has been made to confirm the accuracy of the lot details including any defect in the title both with the vendor and their solicitor. Auction House will not be held responsible for any failure to disclose any such defects. Any purchasers choosing to buy without viewing in person are doing so at their own risk and acknowledge that the auctioneer will not be held responsible for any issues that may arise due to them being unintentionally missed from the video or sales particulars. Please refer to legal pack for additional fees and the Auction Information document for guidance prior to bidding.

Energy Efficiency Rating (EPC)

Current Rating N/A

Local Authority

Gwynedd County Council

Offered in association with

Property Simplified Limited

Important Notice to Prospective Buyers:

We draw your attention to the Special Conditions of Sale within the Legal Pack, referring to other charges in addition to the purchase price which may become payable. Such costs may include Search Fees, reimbursement of Sellers costs and Legal Fees, and Transfer Fees amongst others.

Additional Fees

Administration Charge - 2.75% inc VAT of the purchase price, subject to a minimum of £2750 inc VAT, payable on exchange of contracts.

Disbursements - Please see the legal pack for any disbursements listed that may become payable by the purchaser on completion.

View Larger Map

Disclaimer: The map preview provided above is for general guidance only and may not accurately reflect the exact location or surrounding buildings. Prospective buyers and interested parties are strongly advised to independently verify the precise location and surroundings before bidding.